Click here for Greater Long Island newsletters. Click here to download the iPhone app. Or follow Greater Moriches on Instagram.
Plans for The Ponds, a 152-unit housing community in Yaphank’s new mixed-use complex The Boulevard, are under review.
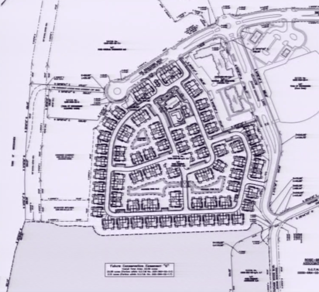
The Town of Brookhaven Planning Board held a public hearing Monday to discuss the new project, located at the southwest corner of The Boulevard. The land where The Ponds is proposed for was once home to the Parr Meadows horse track just north of the Long Island Expressway and west of William Floyd Parkway.
The developer AVR Realty Co.’s plan originally called for about 500,000 square feet of office and flex space. However, such a use has been deemed obsolete in a post-COVID world, Brian Ferruggiari, a spokesman for the developer, told GreaterMoriches last fall after the town approved amending restrictive covenants of the planned development district.
Now, the developer has submitted plans for 152 housing units, including duplexes, triplexes and four quadplexes. The Ponds would include 114 units that will be age-restricted for residents 55 and older. Of the other 38 units, 16 — a required 10 percent of the gross units — are earmarked for affordable housing. Each unit will feature a garage; 132 units will include two-car garages.
The Ponds will additionally boast a 5,000-square-foot clubhouse, an in-ground pool, patio space, a barbecue area and dog park. Plans call for 284 driveway spaces and an additional 100 off-street parking spaces.
During Monday’s meeting, the planning board reviewed its staff recommendations with representatives of the developer. The board closed the public hearing and will enter the matter into its decision calendar for a later date.
Among prior approvals and conditions discussed were AVR Realty’s commitment to provide a conservation easement in favor of the Pine Barrens Commission of over 23 acres of the parcel slated for The Ponds.
The story continues past the following photo.

Retail updates
While much of The Boulevard’s residential units are occupied, much of its retail space remains vacant and not leased. During Monday’s hearing, Ferruggiari mentioned some of the businesses expected to join the opened Walmart and the previously announced Ridgewood Savings Bank.
“We have started leasing up the neighborhood retail section along The Boulevard and we’re being very very selective in filling that space because we want this to be a very successful, quality retail shopping center,” Ferruggiari said. “To date, we have a 3,000-square-foot wine and liquor store that is coming in that has good specialty wines and climate-controlled areas to store the wine. They’ll have wine tastings, so it’s very nice.”
Ferruggiari also noted the forthcoming Southpaw Brewing Company, which he said will offer craft beers, burgers and brick oven pizza. The brewpub, he added, will be situated near the village green.
“We’re in the final stages of negotiations with some very nice restaurants and other users that will be coming in,” Ferruggiari added.
Featured image: A fountain in the The Reserve at The Boulevard (file image).



















